fotoport | eigen website voor fotografen
Jeanne Teunissen
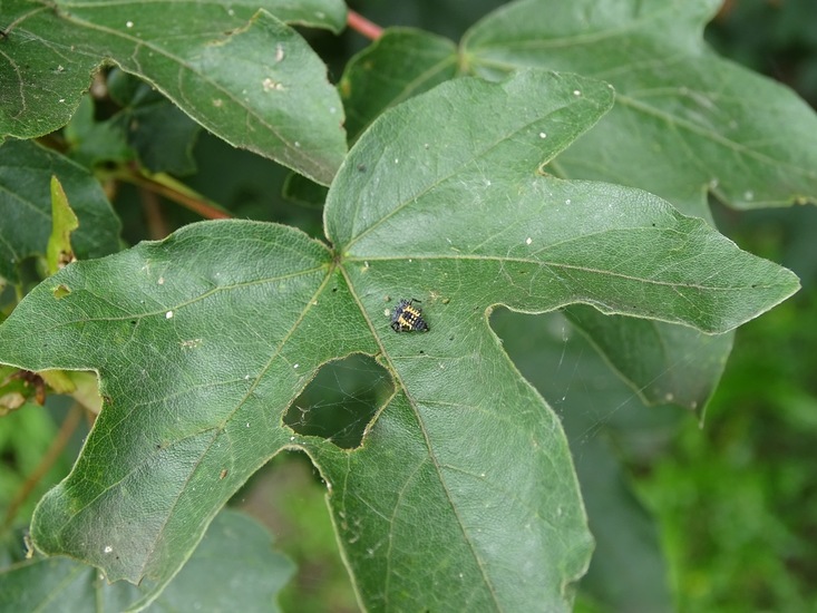
Larve
Toggle navigation
Jeanne Teunissen - Larve
Jeanne Teunissen
Welkom
Zeldzaam.
blog
Portfolio
overzicht
Laatste nieuwen.
Close-up.
Hobby
Vlinders
Wilgenwespvlinder.
Grote weerschijn.
Oranjetipje.
Geisha vlinder.
Jacobsvlinder.
St. Jansvlinder.
IJsvogelvlinder.
Groot Dikkopje.
Zwartsprietdikkopje.
Eikenpage.
Heidevlinder.
Landkaartje.
Icarusblauwtje.
Distelvlinder.
Koolw.+Kl.geaderd
Citroenvlinder.
Boomblauwtje.
Koevinkje.
Oranje Zandoogje.
Bruin zandoogje.
Bont Zandoogje.
Gehakkelde Aurelia.
Dagpauwoog.
Atalanta.
Kleine Vos.
Kleine Monarch
gele/oranje Luzerne.
Kleine parelmoer.
Koningspage.
Rood Weeskind.
Hooibeestje.
Kolibrivlinder.
Tijgerblauwtje.
LYCANIDAE
Vlindertuin Utrecht.
Zuringspanner.
Witte ...
Mot/rups/spanner.
Weidebeekjuffer.
Libelle's/juffers.
Blue Dasher.
Vogels
Roodborstjes.
Winterkoninkje.
Goudhaantje.
Kool/Pimpel/Zwart
Heggenmus.
Huismus.
Grasmus/Ringmus
Sijsjes.
Putters.
Ruzie maken.
Vinken.
Keep.
Merel.
Witte Merel.
Groenling.
IJsvogel.
Zwartkop.
Kuifmees.
Staartmees.
Roodborsttapuit.
Blauwborst.
Boomklever.
Boompieper.
Boomkruiper.
Tjiftjaf.
Fitis.
Rietgors.
Keizersmantel.
Koninginnenpage
ANARTIA FATIMA.
Goudvink.
Graspieper.
Kleine Karekiet.
Rietzanger.
Barmsijs.
Kneu.
Gekraagde
Roodstaart.
Grauwe...
Kramsvogel.
Lijster.
Geelgors.
Kruisbek.
Koperwiek.
Vlaamse Gaai.
Groene specht.
Kleine ..
Specht.
Zwarte specht.
Roodsterblauwborst.
Spreeuwen.
Ekster.
Duiven.
Hop.
Kraai.
Kauw.
Witte Kwikstaart.
Gele Kwikstaart.
Veldleeuwerik.
Boerenzwaluw.
Oeverzwaluw.
Gierzwaluw.
Papegaaien.
Witwangtoerako.
Bisschoptangare.
Sperwer.
Witte Buizerd.
Buizerd.
Kiekendief.
Uilen.
Torenvalk.
Kippen.
Witte Pauw.
Fazant.
insecten op bloemen
VLIESVLEUGELIGEN
RECHTVLEUGELIGEN
Langpootmug.
Hoornaar.
Blinde Bij.
Parende Duitse wesp.
Stadsreus.
Insectenhotel
Geleedpotige en..
Cameleon spinnetje.
Tijgerspin.
Heidekikker.
Boomkikker.
Kikkers/padden.
Amfibieën.
Meikevers.
Wantsen.
Kevers/Torren
Schaatsenrijder.
Bosmieren.
Wormachtige.
Reptielen.
Knaagdieren.
Weekdieren.
Zoogdieren
Zeezoogdieren.
Meeuwen
Kievit.
Scholekster.
Plevier.
Watervogels.
Watersnip.
Reigers.
Ooievaars/nest.
Lepelaar.
Eenden.
Grote Zaagbek
Krakeend.
Kuifeend.
Wintertaling.
Mandarijneend.
Marmereend.
Bergeend.
Brilduiker.
Dodaars.
Waterhoentje.
Fuut.
Meerkoet.
Zwanen.
Geoorde Fuut.
Aalscholvers.
Huisganzen.
Canadese gans.
Ganzen.
Nijlganzen.
Brandganzen.
Grauwe Gans.
Brown Booby
Visarend.
Oranje Troepiaal.
Bruine pelikaan.
Witte Ibis
Blauwe ekster.
Zw. Roodstaart
Vale Gier
Papegaaiduiker.
Oeverloper.
Net iets te laat!
In de vlucht.
Synchroon.
Vissen.
Krabben.
Koeien.
Kiek-e-boe.
Hooglanders.
Vos.
Schapen/geitjes.
Weidevarkens.
Hertjes
Paarden.
Wilde paarden.
Kameel.
Ezel.
Annabel.
Poezen.
Honden.
Nest/hol/poot.
In gevangenschap.
Uitwerpselen.
Dode/schedels
Zwammen 2018/2019
Zwammen v.a. 7-2017
Zwammen najaar 2016.
Inktviszwam.
Gele Trilzwam.
Tandzwam.
Wimperzwammetje.
kopergroenzwam.
Vliegenzwam.
Kleverige koraal.
Amethist.
Op z'n retour...
Witte koraal.
Zwarte Knoopzwam.
Rimpelige koraal.
Mycena.
Hanekam.
Plooivlieswaaiertje.
Kopergr. beker..
Eikentrilzwam.
Geweizwam.
Judasoor.
Zwarte Kluifzwam.
Schotelkluifzwam.
Stekeltrilzwam.
Zwammen.
Nog determineren.
Mossen.
2020 Weerribben
Sicilie, 2019
Keukenhof 2019
B. Bergen, 2019-2017
Spanje, 2018
Tattoo
Egypte 2018
Hortus, Leiden.
Panama kanaal 2018
Villa Aug.
Glow, Eindhoven.
Kinderdijk.
Dierenpark Amersf.
Westkapelle
Delft 2017 okt.
Groningen.
Amsterdam.
2017 febr. Sneek
Egypte jan. 2017.
2-8-2016, Surae.
Mei 2016 Duitsland.
Den Bosch dec. 2016
Zandv. Texel 2016
D'n flaestoren.
Dagje Den Haag/Sch.
2016-6 Klok/De Peel
2016-4. Roofvogels.
IJsland dec. 2015
Andalusië, 2015.
2015-10 Tropical Zoo
Wilhelmshaven.
Rotterdam, 2015.
Alaska 2014.
Berlijn 2014.
Namibië/landschap
Namibië Wild/Vogels
Avifauna 23-6-2012
Dresden 2012 mei.
Bali 2012.
Dubai 2011-12
Praag 2011-5
Keukenhof 2011.
Edinburgh. 2010.
22 dec. 2007
Marokko juni 2007.
Noordkaap
Egypte 1998
Gambia 1995
Hoftram
Culinair.
The Penthouse.
HanTing Cuisine
Ticket to Taste
Lente.
Herfst
Winter.
IJsafzetting.
Waterlelies.
Veldbloemen.
Klaproos.
Roos in de hoofdrol.
Bloemen
Dahlia's.
Gladiool.
Tulp in de hoofdrol.
Orichidee.
Kleine witte lelie.
Gerbera's.
Lelie.
Coconut.
Bloemen uit een bol.
Tuin Gilze.
Tuin Riel.
Onze tuin.
Bloeiende planten
Hortensia.
Helleborus.
Zonnebloemen.
Pioenroos.
Duinroos.
Amaryllis.
Lak Anthurium.
Kamperfoelie.
Appelbloesem.
Bessen.
Bladeren.
Afgezaagd.
Boom tak plant
Boomhut.
Takkenzooi.
Scheef.
Parken.
Lanen
Heide.
Bossen en Vennen.
Zaaddozen e.d.
Webben.
Vruchten en Groenten
Structuren div.
Landschappen
Luchten
Druppels
Veertjes.
Zonsondergang.
Regenboog.
Zonsopkomst.
Maan.
Lijnen in de natuur.
Spiegelingen.
Plassen.
Beekjes.
Zee.
Langs de vloedlijn.
Strand en Duinen.
Mist.
Vuur.
Zonnestralen..
Tegenlicht.
Schaduw en Silhouet.
Bij nacht.
Natuurlijk(e) Kunst
Zacht bewerkt.
zw/wit/kleur
Experimentjes.
Overeenkomsten.
Grapjes.
Gevonden in het bos.
Glazen bol.
Edelsteen/mineralen
Joep/Bullet
Mickey
Miquel
Marble.
Patch.
Portret.
Pablo,Lizzy,Baby
Vivian/Bailey.
Met Bailey en Ayko.
Fotosessie Nathalie.
Portret zwart/wit.
W.A. 50j.
Stilleven.
Roest.
Oude ramen.
Leerlooierijen.
Gereedschappen.
Oud en vervallen.
Doorkijkjes.
Windwijzer.
Voet(en)-afdrukken
Touwen/Netten.
Zonnewijzer.
Op het dak.
Haantje.
Klok van de toren.
Ramen/kerk
UIthangborden.
Kapellen.
Lantaarns.
Fonteinen.
Muur beelden.
Deuren.
Leeuwen.
Putdeksels.
Hangslot.
Brievenbussen.
Deurkloppers.
Bijzondere Gevels.
Brug(getjes.)
Hekjes.
Waterval(letjes).
Openbare Bankjes.
Keien.
Wapens, Fam./Stad
Vlaggen.
Klompen.
Waterput.
Waterpomp.
Watertorens.
Vuurtorens.
Teksten buiten.
Molens.
Nostalgie.
Sluizen
Trappen.
Grotten.
SchildeRijen.
Beelden.
div. Expo's
Kunst. (grappig.)
Vliegtuigen e.d.
Trein.
Boeien.
Anker.
Boten.
Brandkranen.
Kanonnen.
Skyline
Kleurrijk.
Drone
Fietsen
Hartjes.
Kerst.
Camper
Thuis.
Bedankt.
Eigen Creaties.
Dit ben ik.
Ongewervelden
Links
interessante links
Contact
mail fotograaf
privacyverklaring
Larve
Larve van Aziatisch Lieveheersbeestje.